kleintierpraxis@tz-teisendorf.de
Sprechzeiten, Notdienst und Kontakt
+49 (0)8666 98 28 0
Ich habe einen Notfall, was nun?
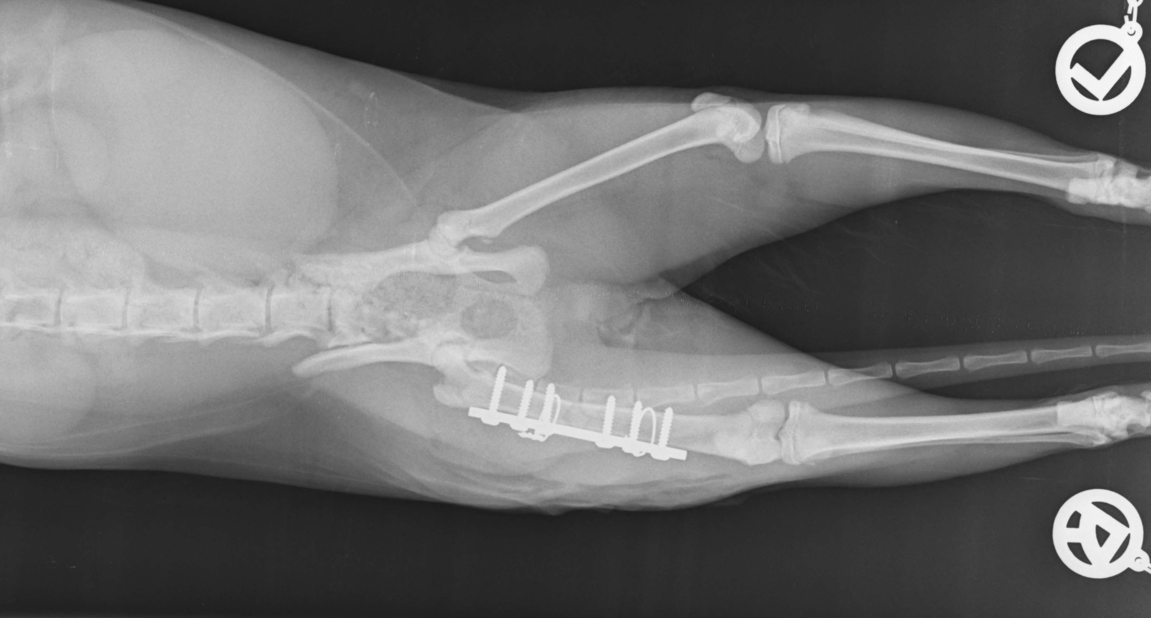
Röntgen, Ultraschall und auch die Endoskopie gehören bei uns zu den bildgebenden Diagnosemethoden, die routinemäßig angewendet werden. Viele Erkrankungen lassen sich erst durch diese weiterführenden Untersuchungen zweifelsfrei feststellen.